Daphnis nerii - Natura del cremasco
Cerca
×
HOME
MI PRESENTO
FLORA
ARACNIDI
INSETTI
IL MOSO
FAUNA
AVIFAUNA
Contatti
Fb
Ig
X
Ig
×
HOME
MI PRESENTO
FLORA
ARACNIDI
INSETTI
IL MOSO
FAUNA
AVIFAUNA
Contatti
Fb
Ig
X
Ig
Cerca
Vai ai contenuti
×
HOME
MI PRESENTO
FLORA
ARACNIDI
INSETTI
IL MOSO
FAUNA
AVIFAUNA
Contatti
×
HOME
MI PRESENTO
FLORA
ARACNIDI
INSETTI
IL MOSO
FAUNA
AVIFAUNA
Contatti
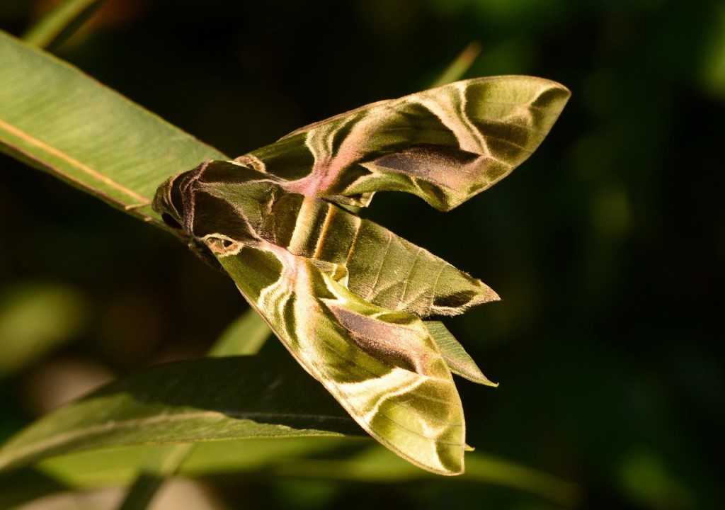
Daphnis nerii
INSETTI
> Lepidoptera > Sphingidae
ORDINE :
LEPIDOPTERA
FAMIGLIA :
SPHINGIDAE
SPECIE :
DAPHNIS NERII
Torna ai contenuti
Per poter utilizzare questo sito è necessario attivare JavaScript.